19/04/2026
         
Manos Manos Πέμπτη, 7 Νοεμβρίου 2013
Κόσμος
+ + -

Σε επιφυλακή οι αρχές των Φιλιππίνων εν όψει της επέλασης Χαϊγιάν

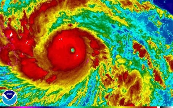
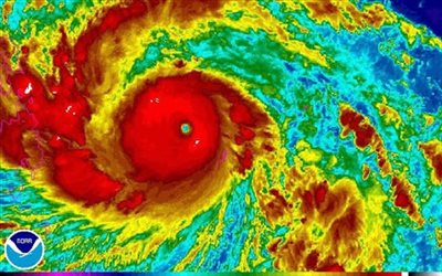
 Σε επιφυλακή βρίσκονται οι αρχές των Φιλιππίνων εν όψει της επέλασης του ισχυρού τυφώνα Χαϊγιάν, ο οποίος αναμένεται να πλήξει αύριο την περιοχή.

Σύμφωνα με τις αρχές της χώρας, οι οποίες οργανώνουν την εκκένωση πολλών περιοχών, η ταχύτητα των ανέμων είναι πιθανό να ξεπεράσει τα 300 χλμ την ώρα με κίνδυνο να προκληθούν σοβαρές ζημιές στο κεντρικό και νότιο αρχιπέλαγος.

«Είναι ένας τυφώνας πολύ επικίνδυνος. Οι τοπικές αρχές γνωρίζουν ποιές περιοχές είναι πιο ευάλωτες και έχουν ζητήσει την εκκένωσή τους», δήλωσε στο Γαλλικό Πρακτορείο εκπρόσωπος της εθνικής μετεωρολογικής υπηρεσίας.

Σύμφωνα με τον ίδιο εκπρόσωπο, δεν υπάρχουν βουνά στην πορεία των ανέμων, κάτι που θα επέτρεπε να μειωθεί γρήγορα η έντασή τους.

Το πρωί, οι άνεμοι που συνοδεύουν τον τυφώνα Χαϊγιάν, ο οποίος βρίσκεται πάνω από τον Ειρηνικό Ωκεανό, έπνεαν με ταχύτητα 278 χιλιομέτρων την ώρα.

Ο Χαϊγιάν αναμένεται να πλήξει τις περιοχές που χτυπήθηκαν στα μέσα Οκτωβρίου, από ισχυρό σεισμό από τον οποίο βρήκαν το θάνατο περίπου 200 άνθρωποι.
 
 
 
 
Αποκάλυψη

 

 
 
 
 
  Αρχική | Ενότητες | Top Αναρτήσεις | Επικοινωνία  
 
Περίεργα      Υγεία
 
Life Style      Κόσμος
 
Τοπικά