19/04/2026
         
Manos Manos Δευτέρα, 11 Νοεμβρίου 2013
Κόσμος
+ + -

Έφτασε στο Βιετνάμ ο Χαϊγιάν

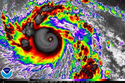
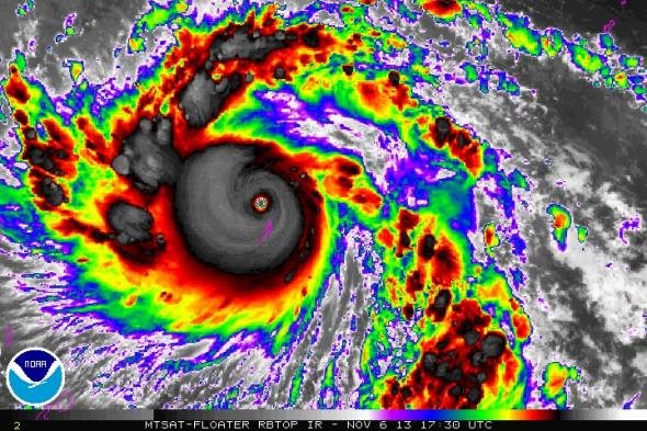
Ο καταστροφικός σούπερ τυφώνας Χαϊγιάν, που έπληξε τις Φιλιππίνες, και άφησε στο πέρασμά του ανυπολόγιστη ανθρωπιστική καταστροφή με περισσότερους από 10.000 νεκρούς και ολοκληρωτικά κατεστραμμένες περιοχές, έφτασε στις παράκτιες περιοχές του Βιετνάμ, τις πρώτες πρωινές ώρες της Δευτέρας, ανακοίνωσε το αμερικανικό μετεωρολογικό κέντρο για τους τυφώνες ( JTWC ). Ο Χαϊγιάν, ακολουθώντας βόρεια- βορειοδυτική πορεία προσέγγισε το Βιετνάμ, στις περιοχές περίπου 160 χιλιόμετρα νοτιο-ανατολικά της πρωτεύουσας Ανόι, ανέφερε το JTWC σε ανακοίνωσή του που δημοσιοποιήθηκε περίπου στις 21:00 GMT.

Κατά τη στιγμή της προσέγγισής του στην ακτογραμμή, η καταιγίδα παρουσίασε μια αλλαγή στην πορεία της κινούμενη προς τα βόρεια, ενώ αρχικά είχε ανακοινωθεί ότι θα πλήξει τις κεντρικές περιοχές της χώρας και φαίνεται ότι έχει χάσει σαφώς την ένταση της μετά το χτύπημα στις Φιλιππίνες κατά τη διάρκεια του Σαββατοκύριακου. Ο Χαϊγιάν, φτάνοντας στο Βιετνάμ συνοδευόταν από ανέμους ταχύτητας 120 χιλιομέτρων την ώρα σύμφωνα με το JTWC, που εδρεύει στο Περλ Χάρμπορ της Χαβάης. «Ο Χαϊγιάν κινείται στα βόρεια - βορειοδυτικά με ταχύτητα 15 κόμβων (28 χιλιομέτρων την ώρα) κατά τη διάρκεια των τελευταίων έξι ωρών», ανέφερε επίσης το JTWC.

Περισσότεροι από 600.000 άνθρωποι εκκένωσαν προληπτικά τις περιοχές τους πριν από την άφιξη του τυφώνα, που θα μπορούσε να είναι ο πιο καταστροφικός στην ιστορία των Φιλιππίνων, εάν οι αναφορές για περισσότερους από 10.000 νεκρούς επιβεβαιωθούν. Στο Ανόι οι κάτοικοι ετοιμάζονται να αντιμετωπίσουν τις συνέπειές του με ισχυρές βροχοπτώσεις και πλημμύρες, ενώ δεκάδες χιλιάδες άνθρωποι στις παράκτιες περιοχές κλήθηκαν να αναζητήσουν καταφύγιο στην ενδοχώρα. «Έχουμε εκκενώσει πάνω από 174.000 σπίτια και απομακρύναμε περισσότερα από 600.000 άτομα », ανέφερε η βιετναμέζικη υπηρεσία αρμόδια για τον έλεγχο των πλημμυρών και των καταιγίδων.
 
 
 
enikos 

 

 
 
 
 
  Αρχική | Ενότητες | Top Αναρτήσεις | Επικοινωνία  
 
Περίεργα      Υγεία
 
Life Style      Κόσμος
 
Τοπικά