06/04/2026
         
Manos Manos Πέμπτη, 3 Ιουλίου 2014
Κόσμος
+ + -

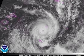
Ο κυκλώνας Άρθουρ προσεγγίζει τη Βόρεια Καρολίνα

Oι αμερικανικές αρχές κήρυξαν τον «Άρθουρ» τον πρώτο κυκλώνας της περιόδου σήμερα, ενώ εξέδωσαν οδηγία για την απομάκρυνση των πολιτών από ένα νησί που βρίσκεται ανοικτά της Βόρειας Καρολίνας. Το φαινόμενο απειλεί να προκαλέσει προβλήματα ή ακόμη και να ακυρώσει τις εκδηλώσεις για την Ημέρα της Ανεξαρτησίας σε μεγάλο μέρος των ανατολικών ακτών των ΗΠΑ. 

Ο «Άρθουρ» αναμένεται να αρχίσει να εξασθενεί από αύριο το βράδυ και να υποβαθμιστεί σε τροπική καταιγίδα από το Σάββατο, ανέφερε το Εθνικό Κέντρο Κυκλώνων των ΗΠΑ στην τελευταία του ανακοίνωση. 

Ο τυφώνας εντοπίζεται περίπου 115 χιλιόμετρα νότια-νοτιοδυτικά του Κέιπ Φίαρ, στη Βόρεια Καρολίνα, με την ταχύτητα των ισχυρότερων ανέμων που τον συνοδεύουν να υπολογίζεται στα 150 χιλιόμετρα την ώρα. 

«Ο πυρήνας του Άρθουρ αναμένεται να προσεγγίσει την ακτή της Βόρειας Καρολίνας (. . .) απόψε» υπογραμμίζει το Κέντρο. 

Ο Άρθουρ αναμένεται να ενισχυθεί από κυκλώνα κατηγορίας 1 σε κυκλώνα κατηγορίας 2 αργά σήμερα και να πλήξει τη Βόρεια Καρολίνα απόψε το βράδυ, πριν εξασθενήσει την Παρασκευή, καθώς κατευθύνεται βόρεια κατά μήκος της ακτής από τη Βιρτζίνια προς τη Νέα Αγγλία και τον Καναδά, Προβλέπεται να υποβαθμιστεί σε τροπική καταιγίδα το Σάββατο ή την Κυριακή. 

Κατά την αργία της 4ης Ιουλίου οι πολίτες συνήθως πηγαίνουν στις ακτές του Ατλαντικού, οι μετεωρολόγοι όμως προειδοποιούν τους παραθεριστές για ισχυρά παλιρροϊκά ρεύματα έως και τη Φλόριντα τις επόμενες ημέρες. 

Η κομητεία Ντέιρ στη Βόρεια Καρολίνα εξέδωσε οδηγίες υποχρεωτικής απομάκρυνσης προς τους πολίτες και τους επισκέπτες του νησιού Χάτερας, ένα από τα νησιά στο Άουτερ Μπανκς της Βόρειας Καρολίνας. 

Ο κυβερνήτης της Βόρειας Καρολίνας Πατ Μακγκρόρι είπε στους πολίτες να μην καθυστερήσουν να φύγουν ή να μην παραλείψουν να προετοιμαστούν στην περίπτωση που αποφασίσουν να μείνουν, έγραψε η εφημερίδα της Βόρειας Καρολίνας News and Observer. 


ΑΠΕ

 

 
 
 
 
  Αρχική | Ενότητες | Top Αναρτήσεις | Επικοινωνία  
 
Περίεργα      Υγεία
 
Life Style      Κόσμος
 
Τοπικά